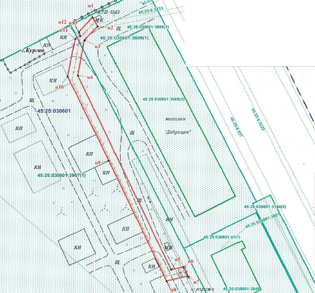
Департамент архитектуры, строительства и земельных отношений Администрации города Кургана информирует, что в связи с обращением АО «СУЭНКО» рассматривается ходатайство об установлении публичного сервитута в целях размещения сооружения электроэнергетики (ВЛИ-0,4 кВ от КТП-1513).
Описание местоположения земельных участков, в отношении которых испрашивается публичный сервитут: 45:25:030601:3609, 45:25:030601:3907.
Адрес, по которому заинтересованные лица могут ознакомиться с поступившим ходатайством об установлении публичного сервитута: г. Курган, ул. Пушкина, 83/1, каб. № 7, приёмные дни: вторник с 9:00 до 12:00 часов, среда с 13:00 до 17:00 часов. Срок подачи заявлений об учете прав на земельные участки в течение 15 дней с момента опубликования
Курган