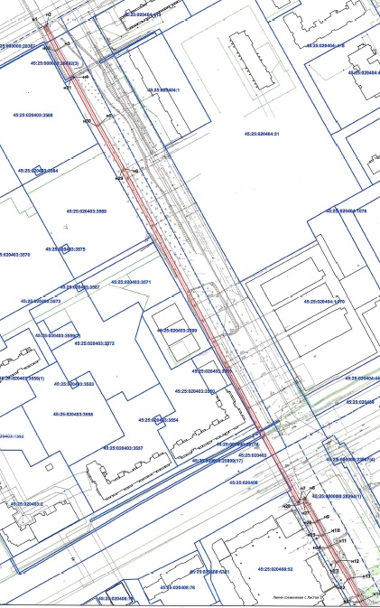
Департамент архитектуры, строительства и земельных отношений Администрации города Кургана информирует, что в связи с обращением АО «Газпром газораспределение Курган» рассматривается ходатайство об установлении публичного сервитута в целях размещения объектов системы газоснабжения – закольцовка сетей газораспределения высокого давления в мкр. Заозерный от ул. Фарафонова до ул. Витебского по пр. Первомайский.
Описание местоположения земельных участков, в отношении которых испрашивается публичный сервитут: 45:25:020408, 45:25:020403, 45:25:000000:26692, 45:25:000000:26174, 45:25:000000:25899, 45:25:000000:28264, 45:25:000000:28367.
Адрес, по которому заинтересованные лица могут ознакомиться с поступившим ходатайством об установлении публичного сервитута: г. Курган, ул. Пушкина, 83/1, каб. № 7, приёмные дни: вторник с 9:00 до 12:00 часов, среда с 13:00 до 17:00 часов. Срок подачи заявлений об учете прав на земельные участки в течение 15 дней с момента опубликования

Курган